分譲地・売土地
ID: 01001336
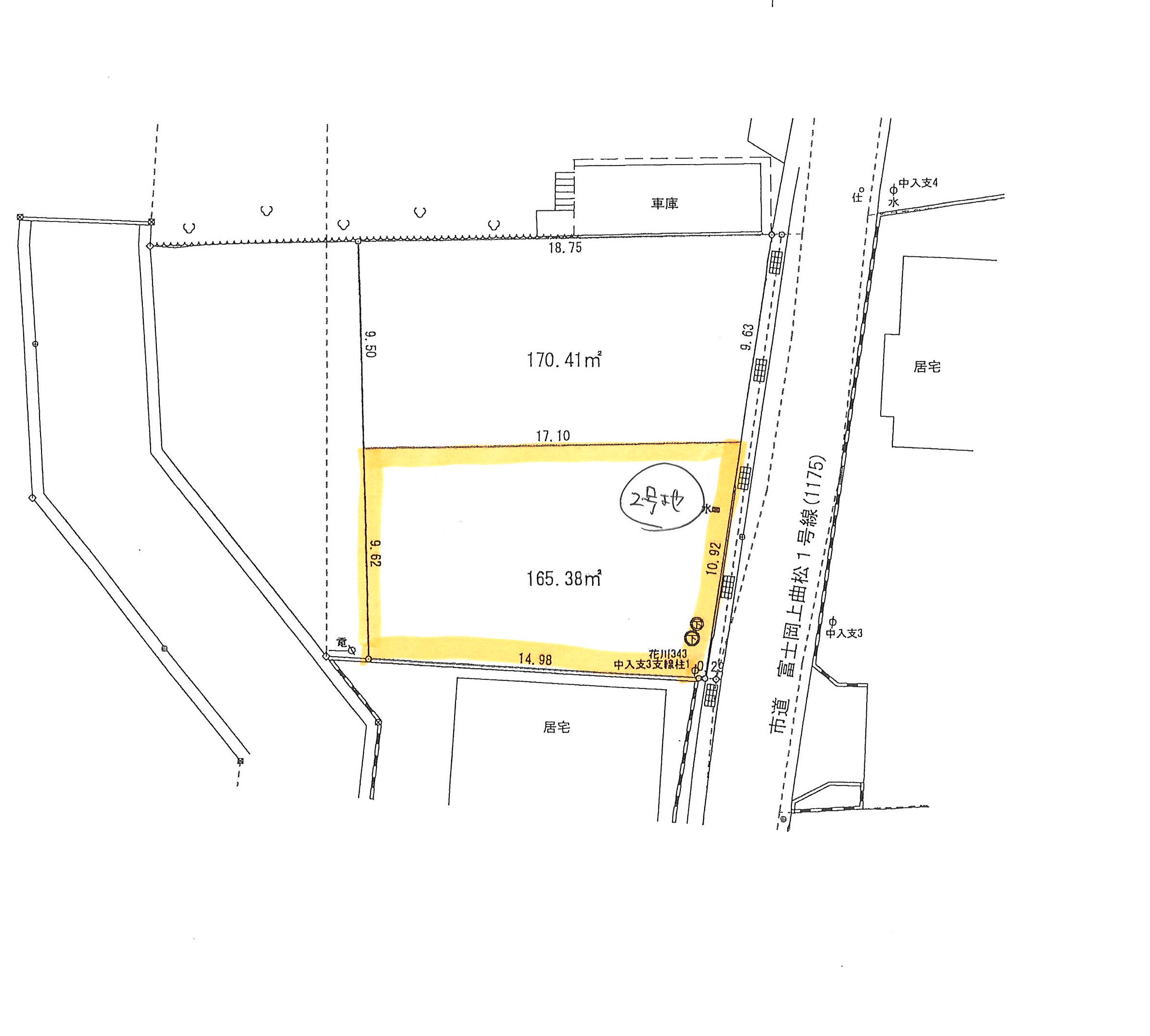
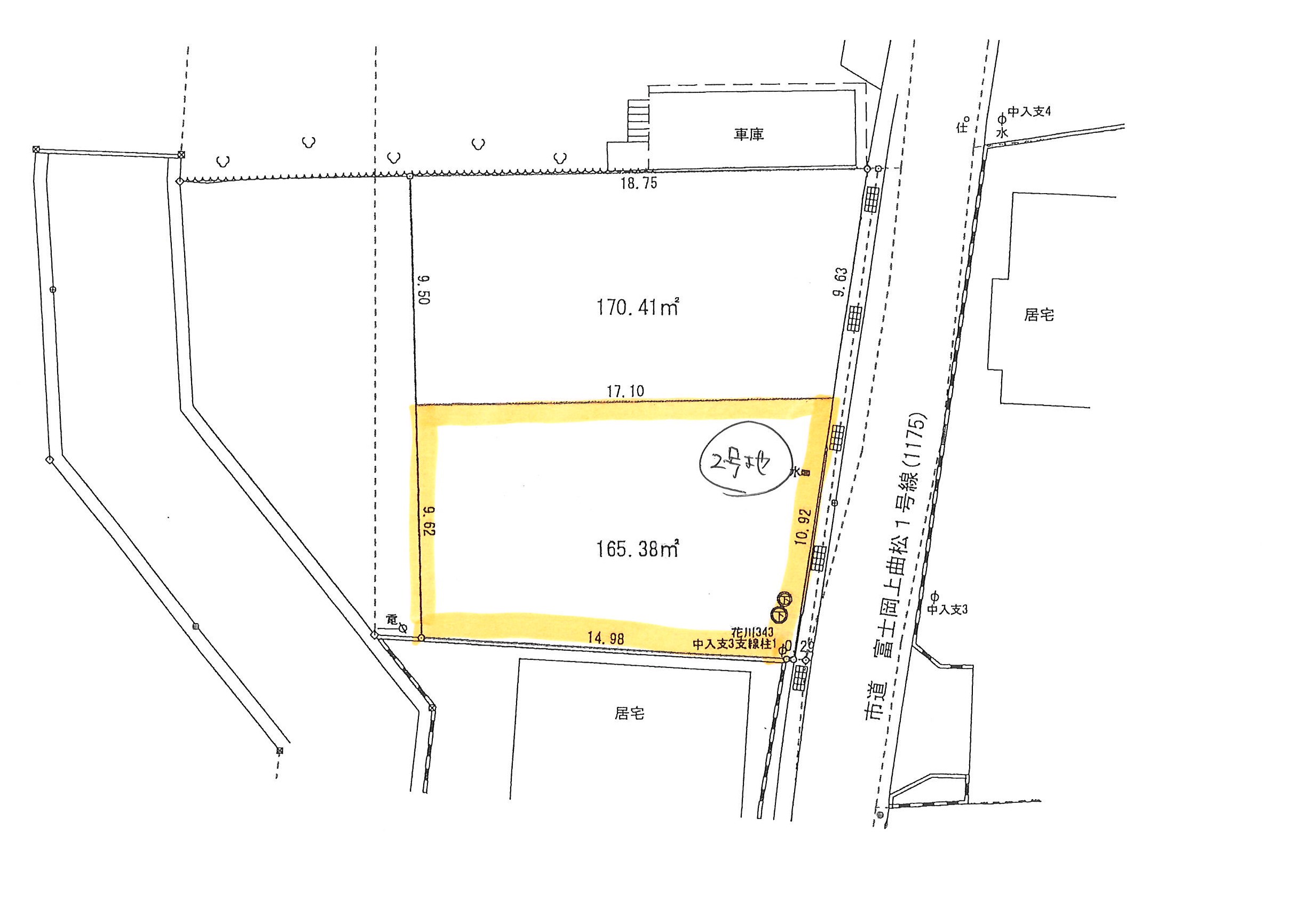
富士市富士岡分譲地2区画-2号地
★富士岡分譲地2区画
★敷地50坪!閑静な住宅地で叶える穏やかな新生活
★建築条件なし!お好きなハウスメーカーで素敵なプランをたててみませんか。
- 価格
9,000,000 円
- 所在地
- 富士市富士岡
- 最寄り
- 岳南鉄道 須津駅 徒歩 12分
- 岳南鉄道 岳南富士岡駅 徒歩 14分
- 土地面積
- 165.38m²
- 土地権利
- 所有権
- 地目
- 宅地
- 都市計画
- 市街化区域
- 用途地域
- 第一種住居地域
- 建ぺい率
- 60%
- 容積率
- 200%
- 接道状況
- 東側:富士市認定道路
- 現況
- 造成中
- 法令上の制限
- 第一種高度地区
- 引渡日 相談
- 相談
- 取引態様
- 媒介
- 備考
- (南側土地)2号地
※ホームページ上の情報と現況が異なる場合は、現況が優先となります。
※掲載中に売却済、売却中止、価格変更となる場合がございます。予めご了承ください。
※価格は全て税込みまたは非課税表示となっております。
※仲介物件の場合、ご成約の際は仲介手数料・消費税が必要となります。
株式会社駿河勧業開発へのお問い合わせは、お問い合わせフォームより承っております。
お急ぎの方は、お電話0545-52-0990にてご連絡ください。
メールを送信すると、ご入力いただいたメールアドレス宛に自動返信メールが届きます。
もしメールが届いていない場合は下記の理由が考えられますので、お手数ですがご確認ください。
- 入力されたメールアドレスが間違っている
- 迷惑メールフォルダに入ってしまっている
- メールの受信/拒否設定がされている
estateお問い合わせ
不動産のこと、どんな小さなご相談でもお気軽に。
気になる物件がある方、条件に合う不動産を探している方、売却と購入を同時に検討している方など、どんなご相談にも丁寧にお応えします。富士・富士宮エリアを熟知したスタッフが、物件の特徴や周辺環境、将来性まで踏まえて誠実にご案内。初めての不動産取引でも安心して進められるよう、資金計画や手続きの流れもわかりやすくご説明いたします。お気軽にお問い合わせください。
お問い合わせはこちら





